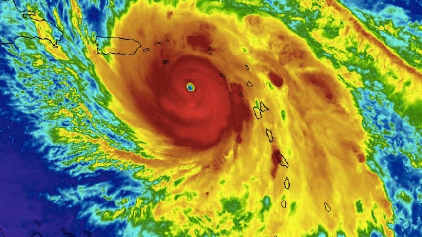
El huracán María parece seguir la fuerza del también catastrófico huracán Irma. María, un sistema de categoría 5, alcanzó vientos sostenidos de 155 millas por hora (mph), de aucerdo al boletín de las 7:00 e la noche del Centro Nacional Huracanes.
María se encuentra sólo 10 mph por debajo de los velocidad de los vientos sostenidos que alcanzó Irma, también categoría 5 pero con vientos de 185 mph. Irma arrasó con el Caribe hace apenas dos semanas, así como también devastó el estado de Florida.
“No quiero adelantarme, pero no dudaría que hubiese un boletín de 180 millas por hora”, dijo Ada Monzón, la meteoróloga más reconocida de Puerto Rico. “Este fenómeno todavía está en ese proceso de ganar intensidad”, aseguró.
“El sistema con su ojo se encuentra aproximadamente a unas 135 millas del sureste de la región de Yabucoa y de Salinas”, indicó Monzón.
Las bandas frontales de María ya se encuentran sobre Puerto Rico, que ya experimenta vientos de tormenta tropical de al menos 40 mph. Lo peor aún está por llegar.
Por otro lado, unas 2,756 personas han acudido hasta el momento a distintos refugios alrededor de Puerto Rico, informó a través de Twitter el gobernador Ricardo Rosselló Nevares.
Los refugiados se encuentran ubicados en 80 de los 500 refugios habilitados con capacidad para 66,826, según informó el director de la Agencia Estatal para el Manejo de Emergencias (Aemead), Abner Gómez Cortés.
Vea también:
¿Por dónde entra y por dónde sale el huracán María en Puerto Rico?
Gobernador hace reclamo a empresa privada para que cese labores
Efectos de María comenzarán a sentirse hoy, dice el Gobernador y urge acuartelarse
Rosselló: Posiblemente no tengamos energía eléctrica por buen tiempo




