Huracán
Termina la temporada de huracanes 2025 en el Atlántico
Puerto Rico no sufrió impactos directos de ningún sistema ciclónico este año.
ONU: Alrededor de 6 millones fueron afectados por el huracán Melissa en el Caribe
En Haití, el país con más fallecidos, el huracán ha causado importantes daños en la infraestructura de la región sur.
Huracán Melissa deja más de 30 muertos en el Caribe
El huracán Melissa deja más de 30 muertos en Haití, Jamaica y República Dominicana. EE. UU. ofrece ayuda humanitaria a Cuba pese al embargo.
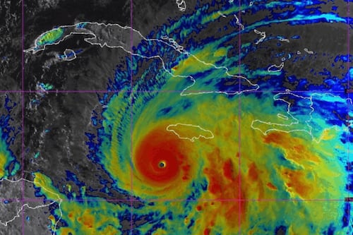
Huracán Melissa golpea a Jamaica y llega a Cuba con intensidad de categoría 3
Sobre 735 mil personas han tenido que ser evacuadas en Cuba.
Huracán Melissa toca tierra en Jamaica con vientos de 185 mph
El huracán Melissa impacta Jamaica con vientos de 185 mph; ya se registran muertes y decenas de heridos.
Mueren tres personas en Jamaica mientras el país se prepara para el huracán ‘Melissa’
Un trabajador sanitario ha muerto en Saint Elizabeth cuando llevaba a cabo operaciones de prevención antes de la llegada del huracán.
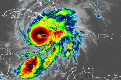
Huracán Melissa es el ciclón más intenso de la temporada
Melissa se convierte en huracán categoría 5 con vientos de 175 mph
Tormenta tropical Melissa se encamina a convertirse en un peligroso huracán categoría 5 y amenaza con impacto catastrófico
El NHC advierte que Melissa podría fortalecerse rápidamente hasta categoría 5, con riesgo extremo para Jamaica, Haití y Cuba.
Onda tropical en el Atlántico podría desarrollarse en depresión tropical esta semana
El Centro Nacional de Huracanes indicó que la onda tropical avanza a unas 15 mph por el Atlántico oriental
Avión cazahuracanes investiga onda tropical cerca de las Antillas Menores
El Centro Nacional de Huracanes indicó que podría desarrollarse una depresión tropical en los próximos días









