FREEPORT, Bahamas — Dorian se debilitó a huracán de categoría 3 en la madrugada del martes pero sigue azotando Bahamas mientras permanece casi estático sobre la isla.
El meteoro se tomó un catastrófico descanso de un día sobre el noroeste de Bahamas en su avance, provocando inundaciones en las islas de Ábaco y Gran Bahama, con paredes de agua que alcanzaron el segundo piso de los edificios, atrapando a la gente en los áticos y anegando el aeropuerto de Gran Bahama en 1,8 metros (seis pies) de agua. Al menos cinco personas fallecieron y la Guardia Costera de Estados Unidos trasladó a 21 heridos por aire a la capital, dijeron las autoridades bahameñas.
“Estamos en medio de una tragedia histórica”, declaró el primer ministro Hubert Minnis, quien señaló que los decesos fueron reportados en las Islas Ábaco. Dijo que la devastación “no tiene precedentes y es extensa”.
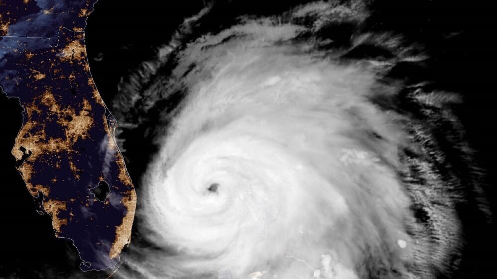
A las 2:00 de la madrugada (hora del este de Estados Unidos), el epicentro de la potente tormenta estaba a unos 48 kilómetros (30 millas) al noreste de Freeport, en la isla Gran Bahama, pero apenas se desplazó desde el lunes por la tarde.
Sus vientos se debilitaron ligeramente a 193 kilómetros por hora (120 millas por hora), con rachas más fuertes, desde los 209 km/h (130 mph) del lunes en la noche.
El huracán estaba a unos 160 kilómetros (100 millas) al este de West Palm Beach, Florida, y según la previsión del Centro Nacional de Huracanes, se espera que se mueva “peligrosamente cerca” de la costa este del estado entre el martes en la noche y el miércoles en la noche. Luego avanzará en dirección norte a la costa de Georgia y de Carolina del Sur el miércoles en la noche o el jueves.
Las autoridades ordenaron la evacuación de cientos de miles de personas en Florida, Georgia y Carolina del Sur antes de la llegada del huracán, que podría causar inundaciones con marejadas ciclónicas potencialmente letales incluso aunque su epicentro se mantenga lejos de la costa, como está previsto. Varios grandes aeropuertos anunciaron cierres y se cancelaron muchos vuelos previstos para el lunes y el martes.
Las autoridades de Bahamas señalaron que recibieron un “tremendo” número de llamadas de personas dentro de casas inundadas. Una estación de radio recibió más de 2.000 mensajes solicitando ayuda, incluyendo reportes de un bebé de cinco meses de edad sobre un techo y de una abuela y seis nietos que abrieron un hoyo en su techo para escapar de la crecida. Otros reportes incluían a un grupo de ocho niños y cinco adultos varados en una autopista, así como dos albergues inundados.
Dorian causó un muerto en Puerto Rico en el inicio de su larga travesía por el Caribe.
Te podría interesar:
- Vulnerable Puerto Rico ante un huracán al nivel de Dorian
- Alcaldes crean centros de acopio en 33 municipios para Bahamas
- Reina desconocimiento sobre nuevo estatuto de violencia doméstica
Te recomendamos este video:

