WILMINGTON, Carolina del Norte, EE. UU. — Residentes de la costa que huían de la devastación que podría causar el paso del huracán Florence se encontraron con gasolineras y tiendas vacías mientras la monstruosa tormenta se acercaba a las Carolinas con vientos de 225 kilómetros por hora (140 millas por horas) y lluvias torrenciales que podrían durar días.
“Monstruoso” huracán Florence avanza hacia las Carolinas
Aunque algunos residentes tenían previsto quedarse pese a los avisos y alertas por huracán para las viviendas de más de 5,4 millones de personas en la Costa Este, muchos decidieron no asumir riesgos.
Un flujo constante de autos cargados con las pertenencias de sus ocupantes avanzaba hacia zonas de interior el martes, y el gobernador de Carolina del Norte, Roy Cooper, intentó convencer a todo el mundo para que se marchase.
“Las olas y los vientos que esta tormenta podría causar no se parecen a nada que ustedes conozcan. Incluso si ustedes han superado tormentas antes, ésta es distinta. No arriesguen su vida frente a un monstruo”, declaró.
De acuerdo con los pronósticos, Florence tocará tierra el jueves por la noche o el viernes en la madrugada y entonces reducirá su velocidad descargará lluvias durante varios días que alcanzarán entre 30 y 60 centímetros (entre 1 y 2,5 pies). Las precipitaciones podrían provocar inundaciones lejos de la costa y causar estragos ambientales si anega vertederos de desechos industriales y granjas porcinas.
Te podrían interesar:
El presidente Donald Trump declaró el estado de emergencia para Carolina del Norte, Carolina del Sur y Virginia, lo que permite que los estados reciban ayuda federal. El dirigente señaló que el gobierno federal está “absoluta y totalmente preparado” para Florence. Las tres regiones ordenaron evacuaciones masivas a lo largo de la costa.
Las aerolíneas American y Southwest Airlines anunciaron la cancelación, desde el miércoles, de sus vuelos con salida y llegada en la zona que se prevé azotará el huracán. El aeropuerto internacional de Charleston, en Carolina del Sur, tuiteó que espera cerrar sus pistas a medianoche del miércoles.
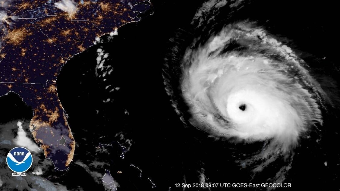
A las 05:00 de la madrugada, el vórtice de la tormenta se encontraba a 925 kilómetros (575 millas) al sureste de Cape Fear, en Carolina del Norte, y avanzaba a 28 km/h (17 mph). Por el momento el meteoro tiene categoría 4 pero se espera que siga ganando fuerza sobre las cálidas aguas y alcance la categoría 5, que supone que tendría vientos de 253 km/h (157 mph) o superiores.
Florence es la tormenta más peligrosa de los tres sistemas en el Atlántico. La tormenta tropical Isaac estaba ubicada al este de las Antillas Menores y se espera que pase al sur de Puerto Rico, la Española y Cuba. El huracán Helene se movía hacia el norte alejándose de tierra firme.
Los meteorólogos monitorean otras dos perturbaciones.

