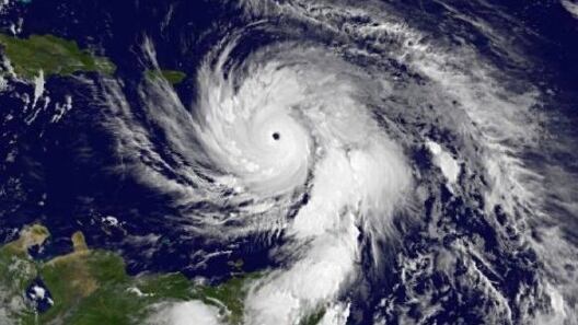
El poderoso huracán María mantiene su fuerza de categoría 5 en la escala Saffir Simpson con vientos sostenidos de 160 millas por hora, mientras avanza en su trayectoria hacia Puerto Rico, Vieques y Culebra.
Así lo indica el boletín de las 8:00 de la mañana del Centro Nacional de Huracanes (CNH).
El fenómeno atmosférico se encontraba en la latitud 16.2 grados norte, longitud 62.8 grados oeste moviéndose al oeste noroeste 9 millas por hora. Se encuentra a 85 millas al oeste oeste de la isla de Guadalupe y a 170 millas al sureste de Santa Cruz.
A las 5:00 de la madrugada el sistema había mostrado un leve debilitamiento luego de tocar tierra en la isla de Dominica, por lo que fue reclasificado como categoría 4 con vientos de 155 millas por hora. No obstante, el boletín detalla que el sistema se debe mantener como un potente huracán de categoría 4 o 5 mientras continúa su ruta hacia el Caribe. A las 5:10 de la madrugada se emitió una actualización que confirmó la reintensificación.
El pronóstico indica que el sistema el ojo del huracán seguirá su trayectoria sobre la parte noreste del Mar Caribe y que afecte las Islas Vírgenes y Puerto Rico desde la noche del martes y el miércoles.
Los vientos huracanados se extienden a 30 millas del ojo del huracán y los vientos tormentosos se extienden a 125 millas del ojo. La presión es de 933 milibares.
De otra parte, el CNH indicó que ese sistema causará una marejada ciclónica entre siete y 11 pies. En términos de lluvia, se esperan entre 12 y 18 pulgadas de lluvia y cantidades aisladas de 25 pulgadas. La cantidad de precipitación provocará inundaciones y deslizamientos de terreno. Una vigilancia de inundaciones está en vigor hasta el viernes.
Puerto Rico, Vieques y Culebra permanecen bajo un aviso de huracán.
El gobernador, Ricardo Rosselló ofrecerá la tarde del martes un mensaje al pueblo desde las emisoras radiales de WIPR; Allegro 91.3FM y 940AM.





