Ya lo dijo el gobernador, Ricardo Rosselló, hay generaciones de puertorriqueños que no han vivido una emergencia como la que nos espera en las próximas horas con el azote directo del huracán María a Puerto Rico. Por ello, es importante que todos conozcan de qué se trata la calma para no poner en riesgo sus vidas.
Durante los boletines informativos de los canales del gobierno (WIPR), la meter´liga, Ada Monzón ofreció una explicación que puede salvar vidas.
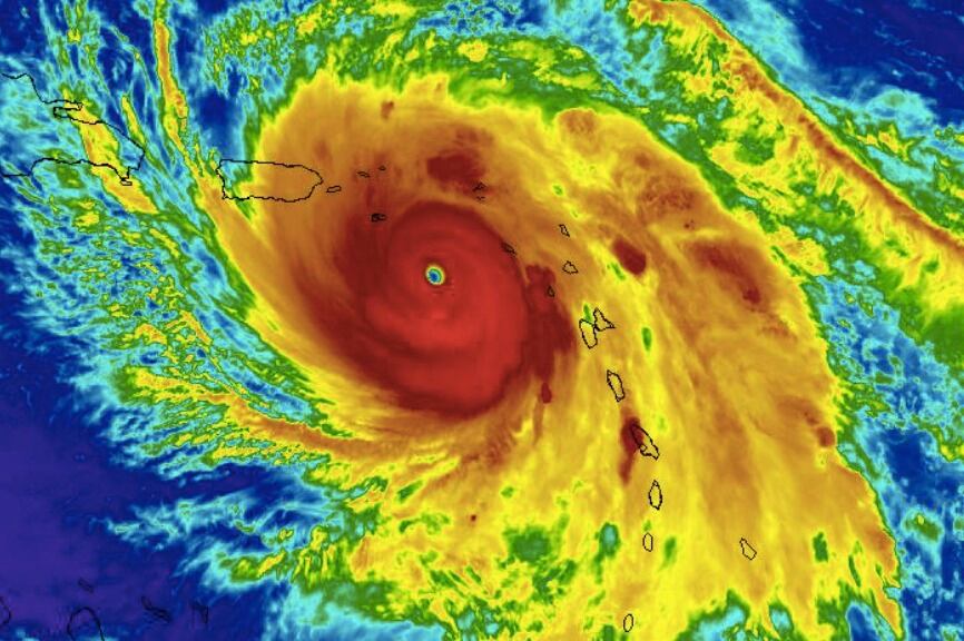
Cuando estemos pasando el azote del huracán se sentirán vientos de gran intensidad y en las zonas montañosas se estima que esos vientos se sentirán más fuertes. Sin embargo, por donde pase el ojo del huracán, habrá un periodo sin vientos que se conoce como “la calma”. Ese periodo es momentáneo.
“De momento cesa el viento, eso es la calma, y esa calma puede durar aproximadamente 15 minutos, 20 minutos, 30 minutos, dependiendo del tamaño del ojo que en estos momentos (a las 8 de la noche del martes) estamos hablando como 10 millas y esto se está moviendo a 10 millas por hora, así que póngale 40 minutos. El viento de momento va a comenzar a apretar nuevamente en cuestión de cinco minutos; de cero a 100 millas por horas. Así que si usted sale afuera, usted se va a exponer a un gran peligro”, advirtió Monzón.
Así mismo, la meteoróloga ofreció otros consejos de seguridad como mantener toda la casa cerrada. En el pasado, se pensaba que era recomendable dejar una rendija de las ventanas abiertas en dirección contraria a donde entraba el viento. Sin embargo, esto fue calificado como un mito. “Si usted no deja todo herméticamente cerrado, como tiene que hacerlo, entonces usted le estaría dando el permiso al viento a entrar a la casa. […] Usted cierre herméticamente todas las ventanas”, sostuvo la gestora del EcoExploratorio.
También ofreció un panorama de lo que se va a sentir con el impacto del huracán María en Puerto Rico. “Si yo tuviera que describirle a usted, qué es lo que usted va a experimentar en las próximas 24 a 36 horas en lo que pasa este fenómeno, primero el viento comienza a soplar ya del Noreste, viene de Norte hacia el Sur, y eventualmente las lluvias van a ser de forma continua, no va a parar la lluvia. Estas lluvias van a venir acompañadas en ocasiones de fuertes ráfagas de viento, aunque no sean vientos sostenidos”, detalló Monzón. Agregó que los vientos irán incrementando hasta los máximos estimados por zonas. Dijo que las residencias que no son de cemento, pueden perder sus techos.





