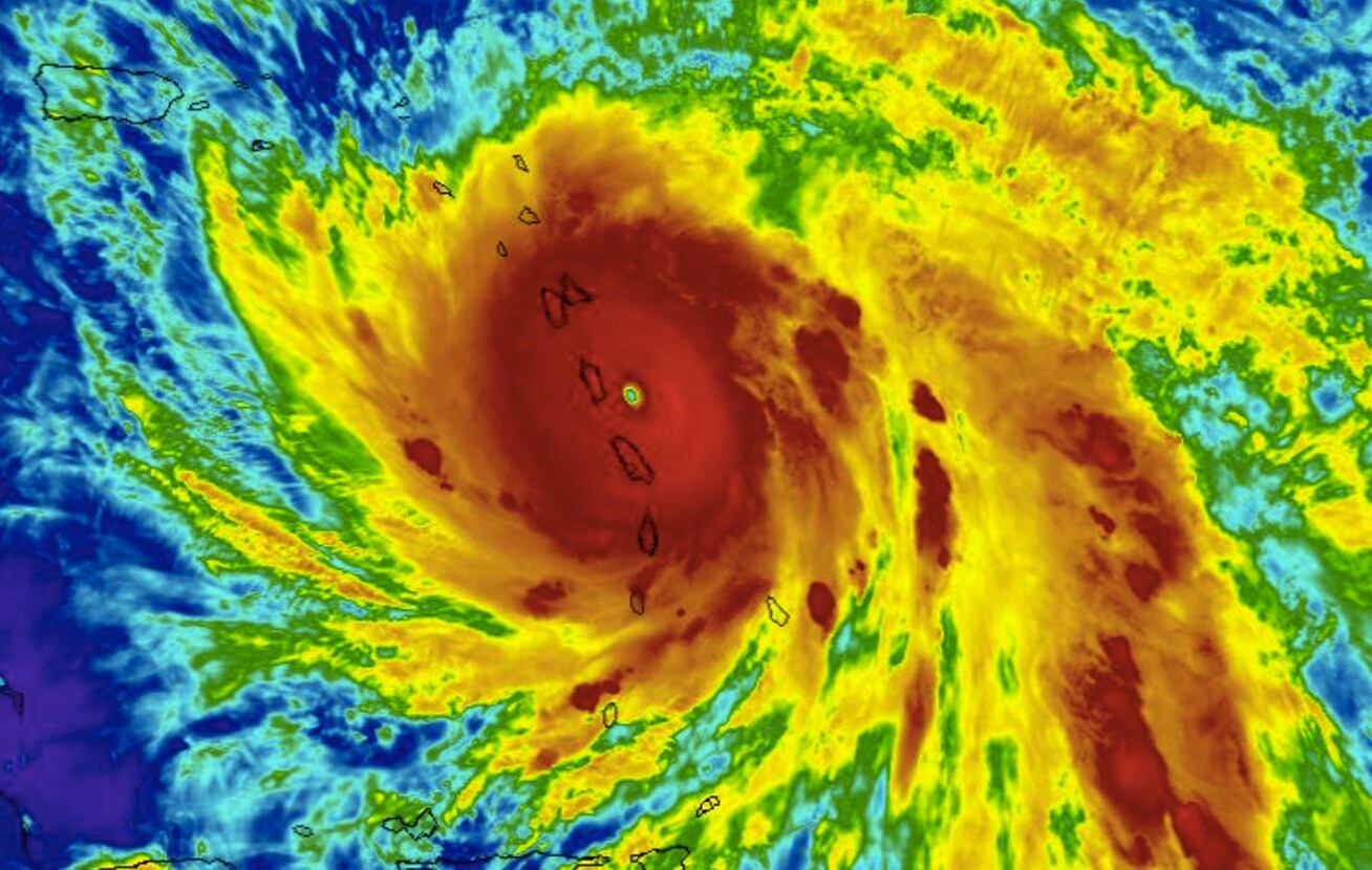
El Centro Nacional de Huracanes (NHC) en Miami informó esta noche que el huracán María alcanzó la categoría 5 de la escala the saffir-simpson hurricane.
En el boletín de las 8:00 de la noche, se detalla que el avión cazahuracanes detectó que el sistema tiene vientos de 160 millas por hora.
El miércoles María podría golpear directamente Puerto Rico, que se libró en gran medida del paso de Irma aunque unas 700,000 personas han quedado sin electricidad, y el gobernador Ricardo Rosselló advirtió que podrían ocurrir nuevos apagones.
Los expertos vaticinaron que la tormenta arrojaría hasta 46 centímetros (18 pulgadas) de lluvia en Puerto Rico y atacaría a la isla con fuertes vientos por entre 12 y 24 horas.
Las autoridades de Puerto Rico dijeron que la Agencia Federal de Manejo de Emergencias estaba lista para traer agua potable y para ayudar a restablecer el servicio eléctrico.

