La temporada de huracanes del Atlántico en 2026 podría registrar una actividad ligeramente por debajo del promedio histórico, según el pronóstico inicial divulgado por investigadores de la Universidad Estatal de Colorado (CSU).
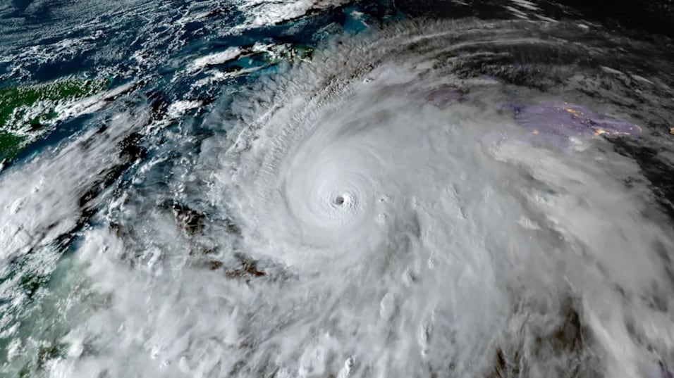
El informe anticipa la formación de 13 tormentas con nombre, de las cuales seis se convertirían en huracanes y dos alcanzarían categoría mayor (3 o más) en la escala Saffir-Simpson. Estas cifras se sitúan por debajo del promedio histórico de 14 tormentas, siete huracanes y tres mayores.
El Niño, factor determinante
El principal elemento detrás de esta previsión es el desarrollo de El Niño, un fenómeno climático asociado a temperaturas más cálidas en el Pacífico tropical que tiende a aumentar la cizalladura del viento en el Atlántico, dificultando la formación de ciclones.
Aunque actualmente persisten condiciones débiles de La Niña, los científicos proyectan una transición hacia un El Niño de intensidad moderada a fuerte durante el pico de la temporada, entre agosto y octubre.
Condiciones oceánicas mixtas
Los expertos también identifican señales contradictorias en la temperatura del Atlántico:
- Aguas más cálidas en el Atlántico occidental, que favorecen mayor actividad ciclónica.
- Aguas más frías en el Atlántico oriental, que tienden a inhibirla.
Este balance contribuye a una previsión general de actividad algo inferior a lo normal.
Alta incertidumbre en el pronóstico inicial
El investigador Phil Klotzbach, autor principal del informe, subrayó que los pronósticos emitidos en abril suelen tener mayor margen de error, debido a los cambios que pueden ocurrir en la atmósfera y el océano antes del pico de la temporada.
De hecho, el equipo estima que la actividad ciclónica de 2026 representará cerca del 75 % del promedio registrado entre 1991 y 2020, lo que contrasta con el 105 % observado en 2025.
Probabilidad de impacto en el Caribe
El informe también incluye estimaciones sobre impacto en tierra. Para 2026, la probabilidad de que un huracán mayor afecte:
- El Caribe es de 35 % (por debajo del promedio histórico de 47 %).
- La costa de EE. UU. es de 32 %.
Llamado a la preparación
A pesar de la proyección moderada, los científicos enfatizan que una sola tormenta puede definir una temporada para cualquier región.
El equipo de CSU actualizará su pronóstico en junio, julio y agosto, a medida que evolucionen las condiciones atmosféricas.
Si quieres, puedo adaptarla al estilo exacto de tu medio (más corto, más duro en lead, enfoque Puerto Rico, etc.).





