Ante lo que se espera sea una ola de puertorriqueños que residen en el estado de la Florida que regresen a Puerto Rico debido a los esperados estragos del poderoso huracán Milton, particularmente en la zona de Orlando y Kissimmee, la senadora Keren Riquelme, solicitó al Departamento de la Familia estar preparados para asistir con las ayudas necesarias a quienes la requieran que incluya asistencia inmediata a través del Programa de Alimentación Nutricional (PAN).
“Desde finales de la pasada semana, miles de puertorriqueños que residen en la Florida, particularmente en la parte central que incluye las ciudades de Kissimmee y Orlando, se han trasladado a la Isla ante el paso del huracán Milton, el cual tiene vientos sostenidos de sobre 155 millas por hora. Además, existe un gran grupo que no pudo comprar pasajes o esperan los resultados del impacto antes de trasladarse de vuelta a la isla. Estamos hablando de miles de puertorriqueños que están ya aquí de vuelta o estarán en los próximos días”, comentó la legisladora en declaraciones escritas.
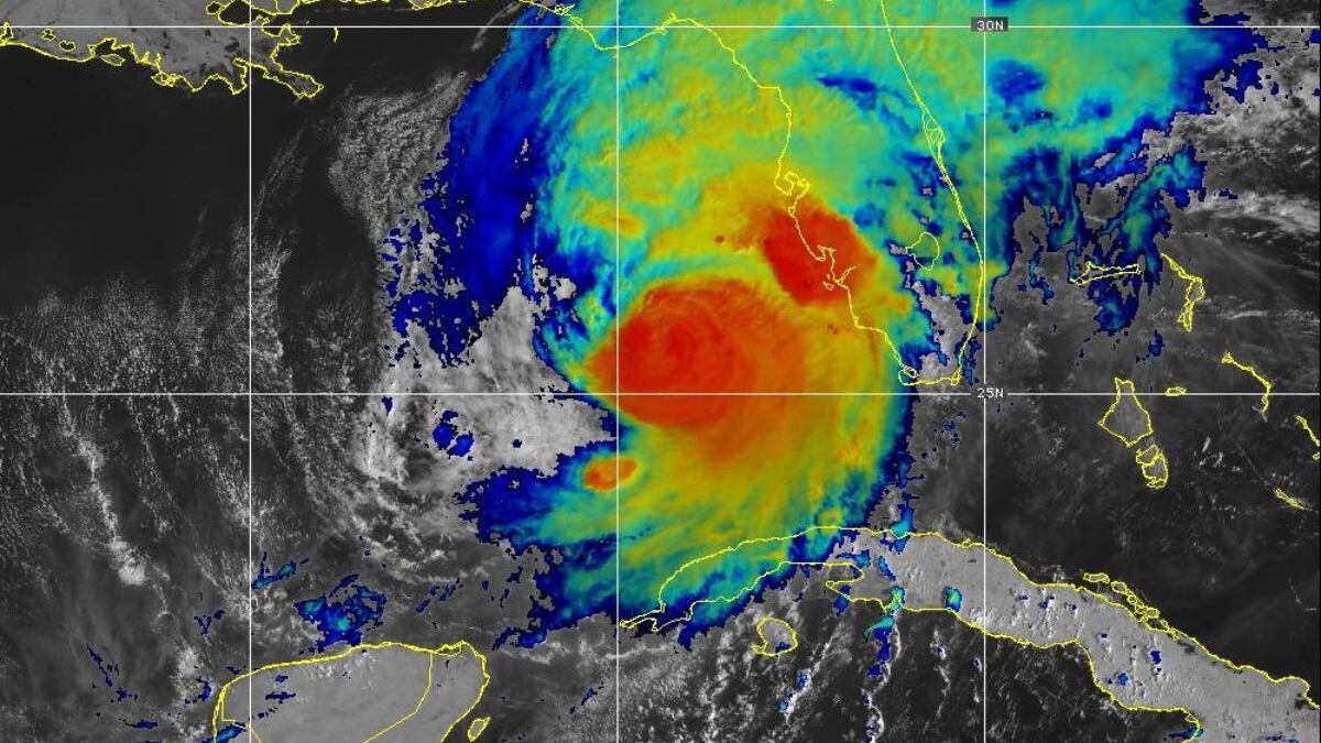
Se espera que Milton deje alrededor de 12 pulgadas de lluvia en áreas de Tampa, Orlando y Sarasota, entre otras.
“Aunque sea provisionalmente, muchos puertorriqueños residentes de la Florida ya están o próximamente estarán aquí, y necesitan ayuda para echar hacia delante en lo que trabajan el asunto de la devastación que sin dudas causará el paso de este fenómeno atmosférico. No podemos esperar que estos pidan la ayuda, debemos ser proactivos, por eso estaré comunicándome con la Secretaria de la Familia, Ciení Rodríguez, para que se comience a trabajar con un paquete de ayuda directa a estas personas, que incluya agilizar la otorgación de los beneficios del PAN”, añadió la legisladora.
De igual forma, la Senadora solicitó reducir los requisitos para la otorgación de beneficios del Programa de Ayuda Temporal para Familias Necesitadas, (TANF, por sus siglas inglés) a los damnificados por el huracán Milton. Este programa permite que padres desempleados puedan recibir alrededor de $300 adicionales al mes para ayudar en la búsqueda de un trabajo.
Riquelme, además, se comunicará con el secretario del departamento de la Vivienda, William Rodríguez, para evaluar la posible otorgación de vales de vivienda, incluyendo el Programa de Vales de Elección de Vivienda, mejor conocido como ‘Sección 8″.





