CABO SAN LUCAS, México (AP) — El huracán Hilary se dirigía en la madrugada del sábado hacia Baja California mientras el Centro Nacional de Huracanes (NHC, por sus siglas en inglés) predice “inundaciones potencialmente letales y catastróficas” para la península mexicana y el suroeste de Estados Unidos, donde está previsto que el sistema toque tierra el domingo.
Más al norte, en Los Ángeles, las autoridades trataban de sacar a la gente sin hogar de las calles, habilitar albergues y preparar evacuaciones.
Se espera que Hilary azote el territorio mexicano el sábado en la noche antes de virar hacia el norte para pasar a la historia como la primera tormenta tropical que llega al sur de California en 84 años.
El NHC emitió una alerta por tormenta tropical para una amplia franja del sur de California, desde la costa del Pacífico hasta las montañas y desiertos del interior. Las autoridades barajaron planes de evacuación para la isla californiana de Catalina.
“No creo que ninguno de nosotros, y especialmente, hayamos pensado nunca que estaría aquí de pie hablando de un huracán o una tormenta tropical”, señaló Janice Hahn, presidenta de la Junta de Supervisores del condado Los Ángeles.
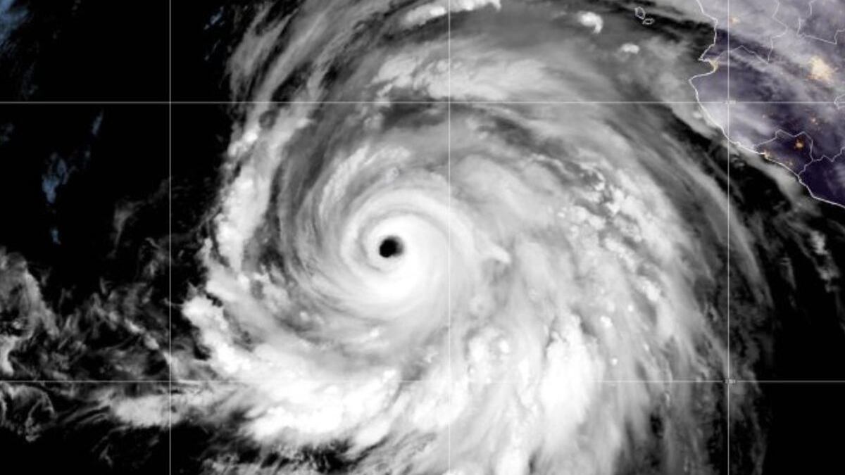
Tras ganar fuerza rápidamente a primera hora del viernes, Hilary seguía siendo un huracán de categoría 3 a primera hora del sábado, con vientos máximos sostenidos de 205 kilómetros/hora (125 mph), desde los 230 km/h (145 mph) previos
El sábado por la mañana el vórtice del sistema estaba a unos 375 kilómetros (235 millas) al suroeste del extremo sur de la península de Baja. Se movía en dirección norte-noroeste a 26 km/h (16 mph) y se pronostica que girará más hacia el norte, además de ganar velocidad.
El último pronóstico indicaba que Hilary tocaría tierra a lo largo de un área escasamente poblada de Baja California, a unos 330 kilómetros (200 millas) al sur del puerto de Ensenada, en el Pacífico.
A medida que siga avanzando en dirección norte, podría arrojar fuertes aguaceros sobre Tijuana. Muchas de las viviendas de esta ciudad fronteriza de 1,9 millones de habitantes se levantan en escarpadas laderas.
La alcaldesa Montserrat Caballero Ramírez dijo que la ciudad estaba siguiendo de cerca la tormenta y limpiando los desagües pluviales. La extensa metrópolis es particularmente susceptible a deslaves e inundaciones, en parte debido a su accidentado terreno. Hay chozas sobre barrancos que tienen poca vegetación para retener la tierra. Además, decenas de personas viven bajo lonas en las calles y en zonas propensas a inundaciones, entre ellas migrantes que llegan a diario de diversas partes del mundo.
La ciudad ha habilitado cuatro refugios en zonas de alto riesgo y está advirtiendo a sus residentes sobre los peligros, según Caballero Ramírez.
El gobierno mexicano emitió avisos preventivos para partes de México continental y puso en alerta a unos 18.000 soldados.
Algunas escuelas de Cabo San Lucas estaban siendo habilitadas como refugios temporales, dijo Flora Aguilar, funcionaria de la ciudad.
En La Paz, la pintoresca capital del estado de Baja California Sur, en el Mar de Cortés, la policía patrullaba las playas cerradas para mantener a los bañistas alejados del oleaje. En cinco municipios se cerraron las escuelas.
Es muy probable que Hilary llegue a California a primera hora del lunes con fuerza de tormenta tropical, aunque se prevé que las lluvias comiencen desde el sábado, según la oficina de San Diego del Servicio Meteorológico Nacional.
Funcionarios dijeron que la tormenta podría llevar fuertes lluvias al suroeste de Estados Unidos, arrojando de 8 a 15 centímetros (3 a 6 pulgadas) en algunos lugares, y hasta 25 centímetros (10 pulgadas) en zonas aisladas, tanto del sur de California como del sur de Nevada.
“De dos a tres pulgadas de lluvia en el sur de California es inaudito” para esta época del año, dijo Kristen Corbosiero, científica atmosférica de la Universidad de Albany que se especializa en los huracanes del Pacífico. “Esa es una cantidad de lluvia para todo un verano y otoño que caerá probablemente en de 6 a 12 horas”.
La región podría experimentar lluvias de una intensidad que sólo se ve una vez cada siglo, y hay una buena posibilidad de que Nevada rompa su récord de lluvia, dijo el meteorólogo Jeff Masters, del servicio de información sobre cambio climático Yale Climate Connections y exmeteorólogo gubernamental que volaba al interior de huracanes para efectuar mediciones.
El presidente Joe Biden dijo que la Agencia Federal para el Manejo de Emergencias había emplazado personal y suministros en la región.
“Exhorto a todos los que están en la ruta por donde pasará esta tormenta a tomar precauciones y prestar atención a las directrices de funcionarios estatales y locales”, le dijo Biden a los reporteros el viernes en Camp David, donde está reunido con los gobernantes de Japón y Corea del Sur.
Agentes de policía de Los Ángeles conducían por vías secundarias cercanas a casas y tiendas para comunicar advertencias a través de sistemas públicos de voceo, y para exhortar a personas sin hogar que viven en cauces de ríos a trasladarse a albergues antes de que la tormenta azote la región.
Funcionarios del sur de California también estaban reforzando los taludes de arena, construidos para proteger a comunidades costeras de baja altitud contra el oleaje invernal, como Huntington Beach, que se hace llamar “La ciudad del surf en Estados Unidos”.
SpaceX postergó el lanzamiento de un cohete que llevaba un satélite desde una base en la costa central de California hasta cuando menos el lunes. La compañía indicó que las condiciones atmosféricas en el Pacífico podrían dificultarle a un barco recuperar el propulsor del cohete.
Las tormentas tropicales no suelen golpear el sur de California porque los vientos imperantes suelen empujarlas hacia el oeste, al océano abierto, o hacia el noreste de México y otras partes del suroeste de Estados Unidos, según expertos.
“Casi todas simplemente se van hacia el mar. Es por eso que nunca escuchamos acerca de ellas”, dijo Kerry Emanuel, profesor de huracanes en el Instituto de Tecnología de Massachusetts.
Es improbable que eso ocurra con Hilary, principalmente debido a un domo de calor de alta presión que se prevé traiga consigo temperaturas de al menos 37 grados Celsius (100 Fahrenheit) en el centro-norte de Estados Unidos e impida que la tormenta gire hacia el este, señaló Masters.





