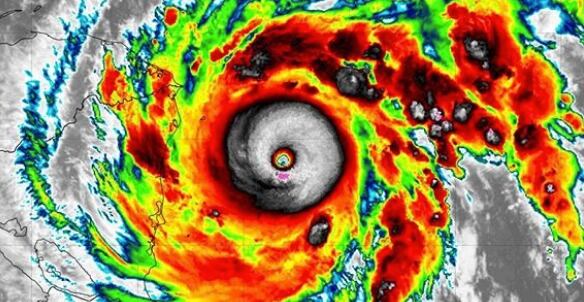
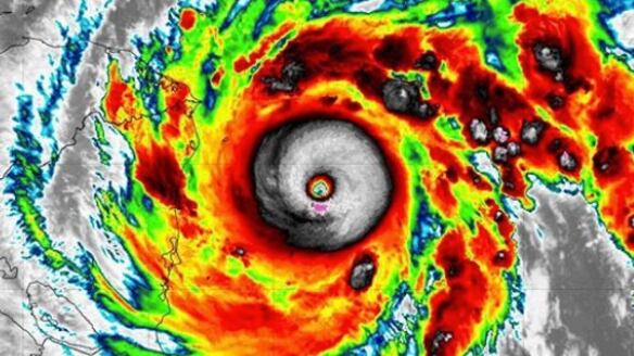
En el boletín de la madrugada de hoy, lunes, Lota se convirtió en el decimotercer huracán del año 2020 y el segundo huracán intenso del mes de noviembre.
Se espera que el sistema tropical, que es categoría 4, entre durante la noche de hoy a la región de Nicaragua y también afecte a Honduras.
Este último país fue afectado por Eta hace dos semanas, donde dejó inundaciones, muertos y muchas personas sin casas.
“Entrará esta noche por región #Nicaragua y afectará #Honduras, al igual que #Eta hace 2 semanas; es cat. 4 (145 mph) y puede ser cat. 5 (157 mph o más); es una situación catastrófica; 20-30” lluvias-inundaciones y derrumbes; solidaridad y piedad”, sostuvo la meteoróloga puertorriqueña Ada Monzón.

