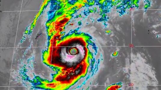
Un poderoso tifón se dirige hoy hacia las principales islas de Japón, y ya está provocando fuertes lluvias en el oeste del país.
El tifón Lan, que tenía vientos máximos sostenidos de 160 kilómetros (100 millas) por hora, estaba en camino de tocar tierra en la costa del Pacífico del centro de Japón antes del amanecer del lunes y continuar hacia el noreste, hacia Tokio.
Las autoridades emitieron avisos de inundaciones y deslizamientos de tierra y avisos de evacuación antes de que se acercara la tormenta.
La Agencia de Manejo de Incendios y Desastres informó que cinco personas resultaron heridas, todas levemente.
El servicio de noticias Kyodo también informó que un hombre murió en el sur de Japón cuando se derrumbó un andamio en un sitio de construcción. No estaba claro si estaba directamente relacionado con el viento.





