El extremadamente peligroso huracán María se apresta a entrar hacia Puerto Rico en las próximas horas, según los pronósticos del Centro Nacional de Huracanes (CNH).
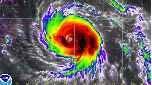
De acuerdo con el boletín de las 5:00 de la madrugada, las coordenadas de María son: latitud 17.9 grados norte, longitud 65.6 grados oeste. El sistema se encuentra a 15 millas al sur suroeste de Vieques y a 50 millas al sureste de San Juan.
María disminuyó sus vientos sostenidos a 155 millas por hora, pero sigue siendo un huracán fuerte de categoría 4 en la escala Saffir Simpson. Su movimiento es al noroeste a razón de 10 millas por hora. Además, la presión central es de 917 milibares.
Se espera que María mantenga su intensidad en lo que toca tierra en Puerto Rico. Los vientos de huracán se extienden a 60 millas del centro, mientras que los vientos de tormenta se extienden a 150 millas del centro.
Mientras tanto, el boletín de las 5:00 de la madrugada señala que en Fajardo se reportaron vientos de 79 millas por hora con ráfagas de 100 millas po hora.
Una actualización emitida previamente a las 4:00 de la madrugada indicaba que en San Juan se reportó viento sostenido de 47 millas por hora con ráfaga de 63 millas por hora. A esa hora la pared del ojo de sistema estaba sobre Vieques.
Se ha advertido que este sistema provocará una peligrosa marejada ciclónica y entre 12 y 18 pulgadas de lluvia con cantidades aisladas de 25 pulgadas. Un aviso de inundaciones fue emitido para Trujillo Alto, San Juan, Aguas Buenas, Carolina, Loíza, Guaynabo, Bayamón, Cidra y Cataño hast alas 10:15 de la mañana.
Por otro lado, este boletín advierte sobre la posibilidad de tornados sobre Puerto Rico y las Islas Vírgenes y recomienda a la ciudadanía a no aventurarse a salir durante el paso del ojo del huracán, pues pues los vientos peligrosos regresarían rápidamente.
A las 6:00 de la mañana el director de la Agencia Estatal para Manejo de Emergencias y Administración de Desastres (AEMEAD), Abner Gómez y personal del Servicio Nacional de Meteorología (SNM) ofrecerán una conferencia de prensa para ofrecer una actualización referente al paso de este huracán por Puerto Rico.

